LA FIRMA
SERVICIOS
OFICINAS
CONTACTO
VENTA
Volver a Venta
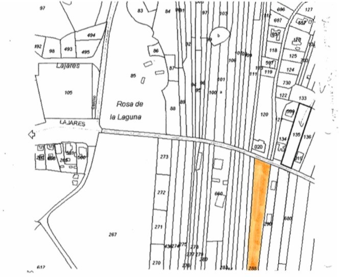
LAJARES
FV196
Tipo:
PARCELA RUSTICA
Habitaciones:
Baños:
Sup. Útil:
Sup. Parcela:
10.000m
Descripción:
Parcela rústica en el pueblo de Lajares, en el municipio de La Oliva. Dispone de una fantástica ubicación.
45.000€